Üç Parmaklı Mumya Yeni Bir İnsan Türüne Mi Ait?

İşte Peru'da bulunan, üç parmaklı el ve ayakları ile dikkat çeken mumya

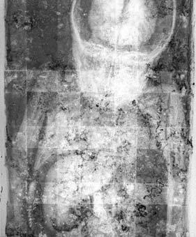
  1. Steve Mera, Peru'da bulunan, üç parmaklı el ve ayakları ile dikkat çeken mumya hakkında çarpıcı açıklamalarda bulunarak cesedin yeni bir insan türüne ait olabileceğini iddia etti.

    Steve Mera, Peru'da bulunan, üç parmaklı el ve ayakları ile dikkat çeken mumya hakkında çarpıcı açıklamalarda bulunarak cesedin yeni bir insan türüne ait olabileceğini iddia etti.

  2. İngiliz araştırmacı ve belgesel yapımcısı Steve Mera, Peru'nun Nazca bölgesinde bulunan üç parmaklı ve tuhaf görünümlü mumya hakkında çarpıcı açıklamalarda bulundu.

    İngiliz araştırmacı ve belgesel yapımcısı Steve Mera, Peru'nun Nazca bölgesinde bulunan üç parmaklı ve tuhaf görünümlü mumya hakkında çarpıcı açıklamalarda bulundu.

  3. Mera'ya göre söz konusu mumya, daha önce keşfedilmemiş olan yeni bir insan türüne ait olabilir.

    Mera'ya göre söz konusu mumya, daha önce keşfedilmemiş olan yeni bir insan türüne ait olabilir.

  4. Ceset üzerinde gerçekleştirilen Karbon ve DNA testleri, mumyanın yaklaşık 1800 yıllık olduğunu ortaya çıkardı.

    Ceset üzerinde gerçekleştirilen Karbon ve DNA testleri, mumyanın yaklaşık 1800 yıllık olduğunu ortaya çıkardı.

  5. Ceset %98,5 insan DNA'sına sahip olsa da %1.5 bilinmeyen bir türe ait DNA'ya sahip. Mera'ya göre sonuçlar, tarih kitaplarını sonsuza kadar değiştirebilir.

    Ceset %98,5 insan DNA'sına sahip olsa da %1.5 bilinmeyen bir türe ait DNA'ya sahip. Mera'ya göre sonuçlar, tarih kitaplarını sonsuza kadar değiştirebilir.

  6. Günümüz insanlarının aksine ince ve uzun bir kafatası yapısına sahip olan mumyanın en dikkat çekici özelliği ise üç parmaklı el ve ayaklara sahip olması.

    Günümüz insanlarının aksine ince ve uzun bir kafatası yapısına sahip olan mumyanın en dikkat çekici özelliği ise üç parmaklı el ve ayaklara sahip olması.

  7. Yapılan incelemelerde mumyanın bir kadın olduğu anlaşılırken bilinmeyen bir türe ait olduğu düşünülüyor.

    Yapılan incelemelerde mumyanın bir kadın olduğu anlaşılırken bilinmeyen bir türe ait olduğu düşünülüyor.

  8. Mera'ya göre mumya, farklı bir insan türüne ait olduğu ispatlanması halinde 21. yüzyılın en büyük keşfi olabilir.

    Mera'ya göre mumya, farklı bir insan türüne ait olduğu ispatlanması halinde 21. yüzyılın en büyük keşfi olabilir.

  9. Sri Lanka'daki Genetech Laboratuvarı da mumyanın sıra dışı bir DNA'ya sahip olduğunu doğruladı.

    Sri Lanka'daki Genetech Laboratuvarı da mumyanın sıra dışı bir DNA'ya sahip olduğunu doğruladı.

  10. Mumya üzerinde bilinen hiçbir hastalığa ait iz bulunamadı.

    Mumya üzerinde bilinen hiçbir hastalığa ait iz bulunamadı.

  11. Cesedin uluslararası karaborsada 1 milyon sterlin fiyat etiketi olduğu ifade edildi.

    Cesedin uluslararası karaborsada 1 milyon sterlin fiyat etiketi olduğu ifade edildi.

  12. Steve Mera, Peru'da bulunan, üç parmaklı el ve ayakları ile dikkat çeken mumya hakkında çarpıcı açıklamalarda bulunarak cesedin yeni bir insan türüne ait olabileceğini iddia etti.

    Steve Mera, Peru'da bulunan, üç parmaklı el ve ayakları ile dikkat çeken mumya hakkında çarpıcı açıklamalarda bulunarak cesedin yeni bir insan türüne ait olabileceğini iddia etti.

2 Temmuz 2018